Internacional

Huracán Earl se degrada a tormenta tropical

El huracán "Earl" se degradó el jueves a tormenta tropical mientras se adentra por tierra en Belice con destino a México, con vientos máximos sostenidos de 105 kilómetros por hora, informó el Centro Nacional de Huracanes  (NHC) de EE.UU.

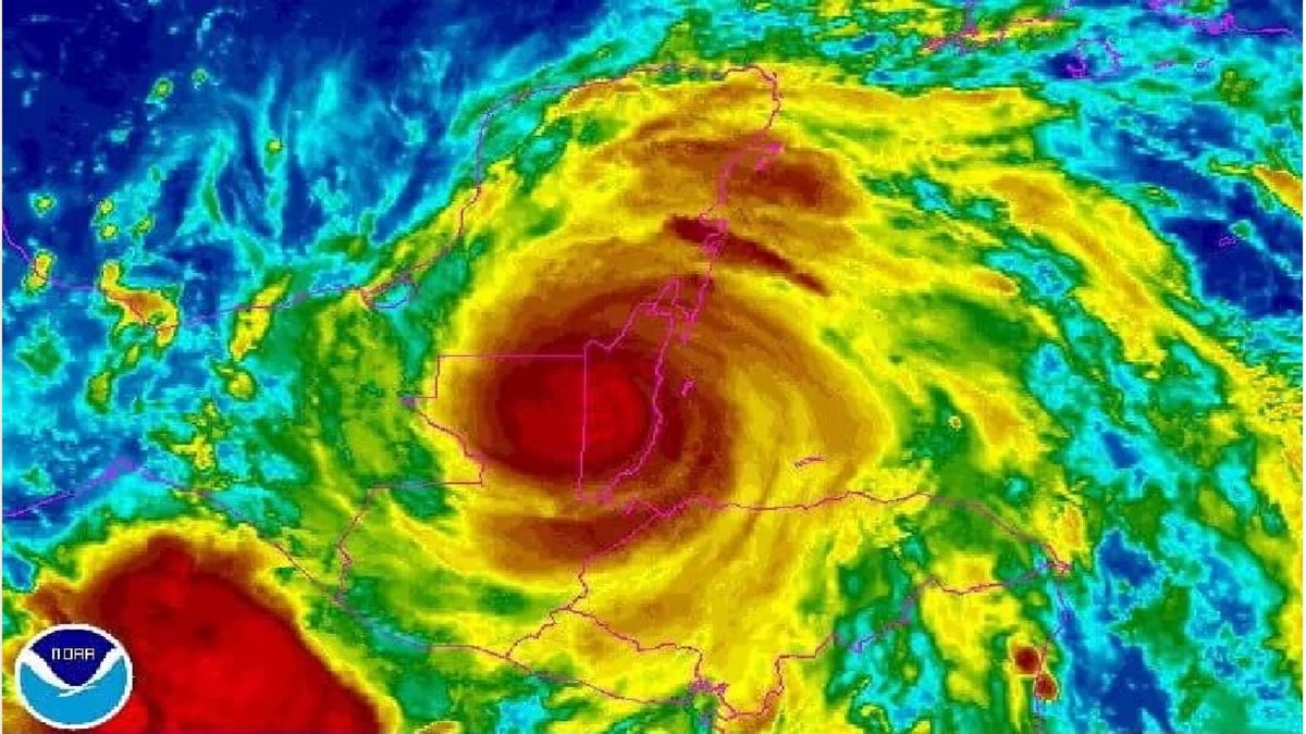
Imagen satelital ubica al huracán Earl sobre las costas de Belice.

Imagen satelital ubica al huracán Earl sobre las costas de Belice.

“Earl” se encuentra a 145 kilómetros al oeste de Ciudad de Belice y se desplaza rápidamente hacia el oeste con una velocidad de traslación de 24 kilómetros por hora, indicó el NHC en su último boletín.

Según un probable patrón de trayectoria, “Earl” atravesará el jueves el centro de Guatemala y el sureste de México para situarse cerca o sobre la bahía de Campeche en la noche del viernes, señalaron los meteorólogos.

La tormenta se encuentra ubicada en la latitud 17.3 norte y longitud 89.5 oeste, y se espera que experimente un giro hacia el oeste-noroeste en las próximas horas.

Se mantiene un aviso de tormenta tropical  (paso del sistema en 36 horas) para la costa de Belice.

Se prevé que “Earl” produzca acumulaciones de agua de hasta 12 pulgadas sobre porciones de Belice, Honduras, Guatemala y la península de Yucatán, con la posibilidad de acumulaciones máximas de hasta 16 pulgadas en áreas aisladas de México y Belice.


También se esperan fuertes lluvias entre la noche del viernes y el sábado por la mañana en los estados mexicanos de Tabasco y Veracruz.

Evacuaciones en México

Por su lado funcionarios del estado sureño de Quinta Roo, en el Caribe mexicano, evacuaron a unas 300 familias asentadas en cercanías del Río Hondo, frontera natural con Belice.

Estamos “en el área de afectación (por el huracán) y nuestra principal preocupación son las zonas bajas en las que por sus características, tradicionalmente registramos inundaciones” , dijo a periodistas Juan Granados Ontiveros, encargado de protección civil en Quinta Roo.

Las autoridades esperan fuertes vientos y rachas huracanadas en esta zona, por lo que habilitaron parte de los más de 750 refugios que tienen en ese estado.

En el caso de Honduras, la Comisión Permanente de Contingencias  (Copeco) decretó el miércoles alerta roja en la zona del Caribe al acercarse la tormenta a la isla de Guanaja, una de las mayores del departamento Islas de la Bahía, donde se encuentra Roatán, el principal destino turístico de esa nación.

ESCRITO POR:

ARCHIVADO EN:

'; $xhtml .= '